Burmistrz Brzeska ogłasza czwarty publiczny nieograniczony przetarg ustny na zbycie niezabudowanej nieruchomości gruntowej położonej w Brzesku.
I przetarg odbył się w dniu 23.10.2013 r
II przetarg odbył się w dniu 19.03.2014 r
III przetarg odbył się w dniu 02.07.2014 r
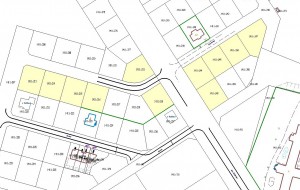
Przedmiotem przetargu będzie niezabudowana nieruchomość gruntowa obj. KW TR1B/00065482/4 będąca do dnia 26.09.2089 r w użytkowaniu wieczystym Gminy Brzesko oznaczona numerami ewidencyjnymi działek według poniższego wykazu:
Lp. | Nr działki ewidencyjnej | Pow.w ha | Cena wywoławcza gruntu | Wysokość wadiumw zł | Przeznaczenie w miejscowym planie zagospodarowania przestrzennego |
1. | 1411/212 | 0,0738 | 98 100,00 + 23 % VAT | 10 000,00 | Zgodnie z miejscowym planem zagospodarowania przestrzennego osiedla „Pomianowski Stok“ w Brzesku jest to teren mieszkalnictwa rodzinnego głównie jednorodzinnego o średniej wielkości działek 730 m2 |
2. | 1411/213 | 0,0741 | 98 500,00 + 23 % VAT | 10 000,00 | |
3. | 1411/214 | 0,0745 | 99 100,00 + 23 % VAT | 10 000,00 | |
4. | 1411/215 | 0,0745 | 99 100,00 + 23 % VAT | 10 000,00 | |
5. | 1411/216 | 0,0745 | 99 100,00 + 23 % VAT | 10 000,00 | |
6. | 1411/219 | 0,0761 | 101 200,00 + 23 % VAT | 10 000,00 | |
7. | 1411/244 | 0,0720 | 95 800,00 + 23 % VAT | 10 000,00 | |
8. | 1411/245 | 0,0694 | 92 300,00 + 23 % VAT | 10 000,00 | |
9. | 1411/246 | 0,0688 | 91 500,00 + 23 % VAT | 10 000,00 | |
10. | 1411/247 | 0,0851 | 113 200,00 + 23 % VAT | 10 000,00 | |
11. | 1411/248 | 0,0724 | 96 300,00 + 23 % VAT | 10 000,00 |
Przedmiotowa nieruchomość położona jest w południowo-zachodniej części miasta Brzesko w woj. małopolskim w odległości około 1 km od jego centrum, na południowym stoku projektowanego osiedla Pomianowski Stok w bezpośrednim sąsiedztwie dróg osiedlowych, które łączą się poprzez ul. Aleja Solidarności z ul. Pomianowską. Do działek doprowadzona jest kanalizacja deszczowai sanitarna; pozostałe elementy infrastruktury znajdują się w zasięgu. Jest to teren niezabudowany sklasyfikowany jako R IVa. Dla działek przeznaczonych do sprzedaży nie wykonywano badań geotechnicznych gruntu.
Nieruchomość stanowiąca przedmiot przetargu nie jest obciążona ograniczonymi prawami rzeczowymi i nie ma przeszkód prawnych w rozporządzaniu nią.
Przetarg odbędzie się w dniu 29 października 2014 r. o godz. 1000 w siedzibieUrzędu Miejskiego w Brzesku powiat Brzesko woj. małopolskie przy ul Głowackiego 51 – sala obrad. Osoba reprezentująca w przetargu osobę prawną lub fizyczną winna się okazać stosownymi pełnomocnictwami.
Wadium w wysokości podanej w powyższej tabeli należy wpłacić na rachunek bankowy Urzędu Miejskiego w Brzesku ul Głowackiego 51 nr 18 85910007 0100 0902 1786 0006 w taki sposób aby w dniu 23.10.2014 r cała kwota znajdowała się na rachunku bankowym. Przy dokonywaniu wpłaty należy podać numer działki na którą wpłacono wadium. Brak tej informacji będzie skutkować nie dopuszczeniem oferenta do przetargu.
Wadium ulega przepadkowi w razie uchylenia się uczestnika, który przetarg wygrał, od podpisania umowy notarialnej.
Szczegółowych informacji na temat przetargu i regulaminu przetargu można uzyskać osobiście w Wydziale Geodezji, Gospodarowania Mieniem i Rolnictwa Urzędu Miejskiego w Brzesku ul Głowackiego 51 woj. małopolskie od poniedziałku do piątku w godz. 730 do 1530 pokój 119 lub telefonicznie (14) 68-65-157. Ponadto treść ogłoszenia, oświadczenia i regulamin przetargu są udostępnione na stronie internetowej pod adresem: www.brzesko.pl




